首頁
台灣
世界
動物
圖文
娛樂
出門
動漫
生活
公關專欄
健康
正能量
女生
選擇語言:
還原
简体
繁體
關於我們
徵才
聯絡我們
刊登廣告
安卓APP
愛瘋APP
選單
首頁
台灣
世界
動物
娛樂
電影
星聞
影評
美漫
圖文
女生
出門
旅遊
美食
動漫
動漫宅
遊戲
Cosplay
生活
職場
藝術
知識
運勢命理
科技
小物
親子
時尚
美妝
感情
健康
正能量
天氣
公關專欄
TEEPR原創影片
叭啦叭啦研究室
TEEPR推一波
亮新聞
IG專區
首頁
台灣
世界
動物
圖文
娛樂
出門
動漫
生活
公關專欄
健康
正能量
女生
地方少女寫的文章
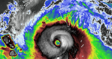
山陀兒又不動了!北部風雨「這時」才到 放假時程恐延後
October 1, 2024
台灣
台灣無颱風命名權!網笑翻揭「台人取名」後果:不可不防
October 1, 2024
台灣
,
世界
回馬槍?山陀兒恐「S型迴轉」再撲台 日氣象廳曝最新路徑
October 1, 2024
世界
,
台灣
颱風假放定了?明「8縣市」達停班停課標準 最新風雨預測公開
October 1, 2024
台灣
7月才連放3天颱風假 她苦求「這次別再放了」:被扣1萬元
October 1, 2024
台灣
妹子尾牙抽中「特等獎」 打開見8字氣炸:髒東西!
October 1, 2024
世界
山陀兒急轉鬼切!明從「這2地」登陸襲台
October 1, 2024
台灣
吳慷仁表態了!轉發「我的祖國」賀中國國慶 陸網卻因1原因不買單
October 1, 2024
星聞
,
台灣
他發現「台男已放棄追女生」 曝1關鍵:不如不要
October 1, 2024
感情
,
台灣
山陀兒升強颱!「幾乎沒動」鬼轉撞進南部時間曝 氣象署:特別擔心
October 1, 2024
台灣
洗手驚見水槽「2粒緊盯」她嚇到尖叫 6周後結局出乎意料
September 30, 2024
世界
,
動物
她翻出「古早味畢業照」 7、8年級生一看笑翻:我也有
September 30, 2024
台灣
1
...
276
277
278
279
280
281
282
283
284
285
286
...
806
← Older posts
Newer posts →
兒童不宜內容
此內容只給年滿18歲的讀者觀看,如非18歲請退出!
我大人了啦!
未滿18歲
cwv3_den_title
cwv3_den_msg
未滿18歲