首頁
台灣
世界
動物
圖文
娛樂
出門
動漫
生活
公關專欄
健康
正能量
女生
 
選擇語言:
還原 简体 繁體
  • 關於我們
  • 徵才
  • 聯絡我們
  • 刊登廣告
  • 安卓APP
  • 愛瘋APP

TEEPR 亮新聞

選單
  • 首頁
  • 台灣
  • 世界
  • 動物
  • 娛樂
    • 電影
    • 星聞
    • 影評
    • 美漫
  • 圖文
  • 女生
  • 出門
    • 旅遊
    • 美食
  • 動漫
    • 動漫宅
    • 遊戲
    • Cosplay
  • 生活
    • 職場
    • 藝術
    • 知識
    • 運勢命理
    • 科技
    • 小物
    • 親子
    • 時尚
    • 美妝
    • 感情
  • 健康
  • 正能量
  • 天氣
  • 公關專欄
  • TEEPR原創影片
    • 叭啦叭啦研究室
    • TEEPR推一波
    • 亮新聞
  • IG專區
首頁
台灣
世界
動物
圖文
娛樂
出門
動漫
生活
公關專欄
健康
正能量
女生

傲嬌茉茉寫的文章

台中76小時6人死亡!陳屍公園長椅、摩鐵

November 18, 2024
台灣

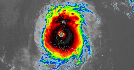
2024年「年度風王」!萬宜「超清晰颱風眼」 專家警告3區嚴防雨彈

November 18, 2024
台灣

最強冷空氣來了!挑戰大陸冷氣團「下探14度」時間點曝

November 18, 2024
台灣

台北女過馬路「被公車捲進車底」丈夫嚇傻崩潰 女司機:我失憶了

November 18, 2024
台灣

高雄爆街頭隨機攻擊!已有4人受傷

November 18, 2024
台灣

咖啡恐「含致癌物」常喝易罹癌 醫曝2招保命

November 18, 2024
台灣, 知識

24歲正妹邊走邊唱「最後一次」!「摔落樓梯慘死」友人拍下生前最後身影

November 18, 2024
世界

超愛喝!「這老牌手搖飲」屹立不搖 網一面倒讚:低價又選擇多

November 15, 2024
美食, 台灣

台中男大生「為閃貓摔車亡」 校方:頒發修業證書圓夢

November 15, 2024
台灣

逾1900個職缺釋出!台中「這工作」月薪達8.5萬 高中畢業、不限工作經歷

November 15, 2024
台灣

台中超神秘「隱藏版夜市」回來了!錯過要等20年

November 15, 2024
旅遊, 台灣

北北桃「散發臭味」灰濛濛一片!大批民眾有感 真相曝光

November 15, 2024
台灣
1...286287288289290291292293294295296...726
← Older posts
Newer posts →
TEEPR原創影片
網人365
編輯專欄
公關專欄
生活
動漫
出門
ChloE直講
女生
娛樂
Travel Seefood
科技
圖文
小物
Adrian
動物
親子
美漫
雪若Q談人蔘
動漫宅
影評
Jane的假的
遊戲
美妝
運勢命理
蘑菇宅
知識
台灣
美食
世界
Cosplay
本週主打星
時尚
叭啦叭啦研究室
電影
亮新聞
感情
Girls Talk!
旅遊
星聞
今日紅什麼
藝術
IG專區
激辯擂台
TEEPR推一波
職場
健康
正能量
天氣
TEEPR 亮新聞 (Awesome Co. Ltd.) Copyright © 2014
DMCA.com Protection Status
關於我們
服務條款
隱私條款
聯絡我們
爆料信箱:[email protected]
聯絡專線:+886-2-7709-1699
 
兒童不宜內容

此內容只給年滿18歲的讀者觀看,如非18歲請退出!

我大人了啦!
未滿18歲
cwv3_den_title

cwv3_den_msg

未滿18歲